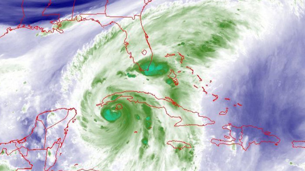
Amazing ian path sc 2022 Update Hurricane Ian update for September 27, 2022 | wltx.com Hurricane Ian 2022 path update: Ian could make landfall as a LIVE MAP: Track the path of Hurricane Ian | PBS NewsHour Biden Calls DeSantis About Hurricane After Governor Extends Olive Hurricane Ian tracker: Updates show path toward central Florida Hurricane Ian path update: Ian nearly a Category 5 hurricane as it Hurricane Ian path headed for Florida, impact coming SC coast Live updates: Tallahassee area ‘not out of the woods,’ but will Hurricane Ian set to strike Cuba, then Florida | khou.com
Amazing ian path sc 2022 Update
